btn_menu (02241) 47-5223 / (02223) 46-8606
Fotos Fotos
Datos Volver
Oportunidad
Vendido

Excelente oportunidad Lote de 2513m2 Chascomús, Bs As (posibilidad de financiación)

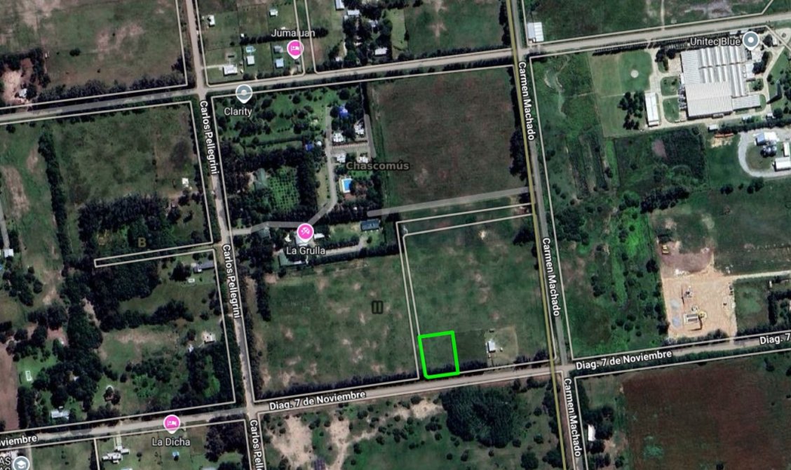
Location Diagonal 7 de septiembre y carmen machado Chascomús, Buenos Aires. - Chascomús

Prev
Prev
Venta
USD 32.500
Propiedad

Lotes / terrenos

Superficie Total

Sup. total 2513m2

Condicion

Estado Muy bueno

Datos Acerca de la propiedad

Excelente Oportunidad de Inversión para desarrollo inmobiliarios y/o casa habitación.
Lote de 2513m2. (de 43,32mts de frente por 55,93mts de fondo).
ubicado su frente en calle Diagonal 7 esquina calle rural sin nombre (falta realizar) y Carmen Machado de la ciudad de Chascomús.
  •  A 5000 mts del casco céntrico, y  a  5500 mts de la Avenida Costanera López Osornio. 
  • A 130 km de CABA, 82 km de La Plata, y 274 km de Mar del Plata.   
  • Apto para consulta de financiación en pesos o dólares estadounidenses
Terreno/lote compuesto por:
  • Calle de tierra mejorado.
  • Parquizado.
  • Cerco de alambre de 6 hilos. 
.

Comodidades Comodidades

Ver más vermas

Datos Ubicación

Venta

USD 32.500

Datos Propiedades Relacionadas

Contacto

¿Te interesa esta propiedad?
Contactate ahora

Ver
Chatea con nosotros
Whatsapp