btn_menu (02241) 47-5223 / (02223) 46-8606
Fotos Fotos
Datos Volver

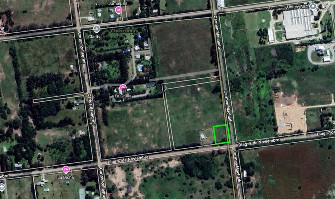
Lote de terreno 2512m2, Chascomús. Buenos Aires (Apto financiación)

Location Carmen Machado esquina diagonal 7 de septiembre, Chascomús, Buenos Aires. - Chascomús

Prev
Prev
Venta
USD 39.000
Propiedad

Lotes / terrenos

Superficie Total

Sup. total 2512m2

Disposicion

Disposición Frente

Orientacion

Orientación Sur-este

Condicion

Estado Muy bueno

Datos Acerca de la propiedad

Excelente Oportunidad de Inversión para desarrollo inmobiliarios y/o casa habitación.
Lote de 2512m2. (de 44 mts de frente por 44,95 mts de fondo).
ubicado su frente en calle Carmen Machado esquina Diagonal 7 de Septiembre de la ciudad de Chascomús.
  •  A 5000 mts del casco céntrico, y  a  5500 mts de la Avenida Costanera López Osornio. 
  • A 130 km de CABA, 82 km de La Plata, y 274 km de Mar del Plata.   
  • Apto para consulta de financiación en pesos o dólares estadounidenses
Terreno/lote compuesto por:
  • Calle de tierra mejorado.
  • Parquizado.
  • Cerco de alambre de 6 hilos. 

Comodidades Comodidades

Ver más vermas

Datos Ubicación

Venta

USD 39.000

Datos Propiedades Relacionadas

Contacto

¿Te interesa esta propiedad?
Contactate ahora

Ver
Chatea con nosotros
Whatsapp