btn_menu (02241) 47-5223 / (02223) 46-8606
Fotos Fotos
Datos Volver
Oportunidad

Lotes de 402 a 514 m2. Financiación. Ranchos. Partido de General Paz.

Location Moisés Tinao - Ranchos

Prev
Prev
Venta
USD 20.000
Propiedad

Lotes / terrenos

Superficie Total

Sup. total 514m2

Datos Acerca de la propiedad

Excelente oportunidad de inversión y desarrollo en una zona con gran proyección en la ciudad de Ranchos.

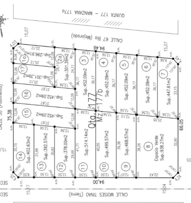
Lotes ubicados sobre calle Moisés Tinao (tierra) y calle 67 Bis (mejorado), con acceso desde Quinta 177 – Manzana 177B. El loteo presenta una distribución funcional con parcelas de superficies variadas, adaptándose tanto a proyectos de vivienda permanente como a desarrollos para renta o inversión.

Las superficies disponibles oscilan aproximadamente entre 296 m² y 514 m², con frentes promedio de 12,50 metros y fondos variables, ofreciendo excelentes proporciones para construcción, espacios verdes y futuras ampliaciones.

Ubicación estratégica:
 A 900 metros de la Plaza de Mayo
 A 850 metros de la laguna de Ranchos
 A 1.200 metros de Av. Campomar

El entorno es tranquilo, con buen acceso y en constante crecimiento, lo que le otorga un interesante potencial de valorización a corto y mediano plazo.

 Lotes con distintas superficies
 Buen acceso por calle mejorada
 Zona en expansión
 Ideal vivienda permanente o inversión

Lote 5: VENDIDO


296,91 m² (Lote 1) — U$S 19.000

301,39 m² (Lote 2) — U$S 19.000

301,39 m² (Lote 17) — U$S 19.000

378,00 m² (Lote 12) — U$S 19.000

392,57 m² (Lote 13) — U$S 19.000

402,63 m² (Lote 14) — U$S 20.000

447,61 m² (Lote 7) — U$S 20.000

452,09 m² (Lote 3) — U$S 20.000

452,09 m² (Lote 4) — U$S 20.000

452,09 m² (Lote 5)  Vendido

452,09 m² (Lote 6) — U$S 20.000

452,09 m² (Lote 15) — U$S 20.000

452,09 m² (Lote 16) — U$S 20.000

468,57 m² (Lote 9) VENDIDO

499,57 m² (Lote 10) VENDIDO
514,14 m² (Lote 11) — U$S 20.000


Consultanos para conocer disponibilidad actualizada y coordinar visita al lugar.

Comodidades Comodidades

Ver más vermas

Datos Ubicación

Venta

USD 20.000

Datos Propiedades Relacionadas

Contacto

¿Te interesa esta propiedad?
Contactate ahora

Ver
Chatea con nosotros
Whatsapp