btn_menu (02241) 47-5223 / (02223) 46-8606
Fotos Fotos
Datos Volver
Oportunidad

Lotes de 2520 a 3560 m2. Financiación. Anticipo 40%. Saldo hasta en 20 Cuotas. Chascomus. Bs. As.

Location Roberto Parió - Chascomús

Prev
Prev
Venta
USD 45.000
Propiedad

Lotes / terrenos

Superficie

Sup. cubierta 2520m2

Superficie Total

Sup. total 2520m2

Datos Acerca de la propiedad

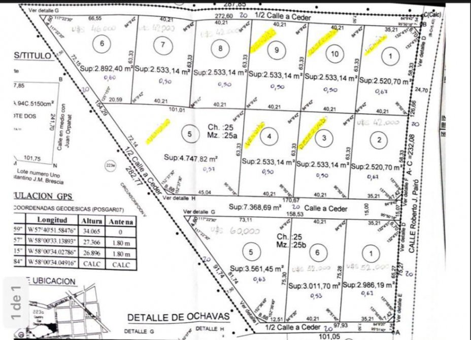
Gran Loteo ubicado detras del Country Club Golf Chascomus, a tan solo 500 metros de la RP 20 y 1Km de la RP 2.
Excelente posibilidad de inversion, FINANCIACION DIRECTA, Anticipo de 40%  y saldo en cuotas de hasta U$S 1.500
9 Lotes disponibles ideales para casa de fin de semana, casaquinta o residensia permanente.
Superficies totales y sus respectivos valores:
Manzana: 25a
  • Lote 6 Sup: 2892.40 m2 U$S 50.000
  • Lote 7 Sup: 2533.14 m2 U$S 45.000
  • Lote 8 Sup: 2533.14 m2 U$S 45.000
  • Lote 10 Sup: 2533.14 m2 U$S 45.000
Manzana: 25b
  • Lote 1 Sup: 2986.19 m2 U$S 50.000
  • Lote 5 Sup: 3561.45 m2 U$S 60.000 ( Lote con salida a tres calles)
  • Lote 6 Sup: 3011.70 m2 U$S 50.000

Comodidades Comodidades

Ver más vermas

Datos Ubicación

Venta

USD 45.000

Datos Propiedades Relacionadas

Contacto

¿Te interesa esta propiedad?
Contactate ahora

Ver
Chatea con nosotros
Whatsapp